原本一起简单的借款纠纷诉讼案件,因为法院的裁定与事实不符,竟然一打就是七、八年之久仍无结果。当事人李焕文日前表示,恳请有关部门能够本着“以事实为依据,以法律为准绳”的原则,理清事实,明辨是非,公正执法,切实维护当事人的正当权益。

在提交给上级有关部门的一份书面反映材料中,当事人李焕文说,我叫李焕文,男,1965年4月出生,汉族,住河北省石家庄市元氏县槐阳镇蟠龙路。以下是我要陈述的事情经过:
2008年12月26日,经朋友介绍,元氏县槐阳镇东韩台村从事服装加工生意的许树明向李焕文借款10万元,双方约定借款期限为两个月,至2009年2月26日归还。而到期之后,许树明并未按约定履行还款。
无奈之下,李焕文在2010年向元氏县人民法院提起诉讼,申请诉讼保全并缴纳了保证金。法院对许树明的财产进行了查封,实施了保全措施。但在法院将许树明的财产查封以后,元氏县地税局职员耿子彦(女)以许树明欠其钱为由,将法院查封的许树明财产全部拉走变卖。

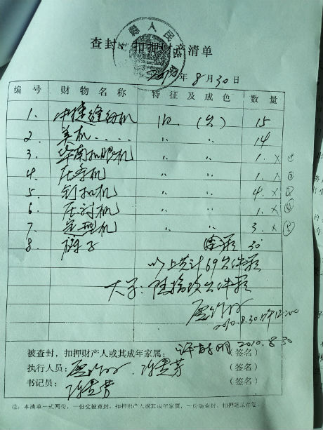
发现这一情况后,李焕文第一时间报告给元氏县法院。法院传唤了许树明和耿子彦,但未对两人有什么判决结果,就这件事情法院来回拖了七、八年。作为诉讼请求人,李焕文已经履行了法院要求的诉讼程序,而且法院多次判决裁决,但李焕文的合理诉求一直没有得到解决,而耿子彦作为国家公职人员却置国家法律于不顾,擅自拉走法院查封许树明的财产近8年。法院没有对耿子彦进行处罚,听之任之,致使李焕文12.98万元的本金及利息至今没有下落。李焕文多次去法院协调此事,希望能够追回自己的本金及利息,并要求耿子彦拉走法院查封许树明的抵押财产——石家庄市盖维尔服饰有限公司的机器和裤子共计69台件(详见“查封财产清单”),公司法定代表人许树明在查封清单上签字确认。
在2010年10月25日,元氏县人民法院作出(2010)元民一初字第00570号民事调解书,调解结果:被告石家庄市盖维尔服饰有限公司许树明在2010年11月28日偿还原告李焕文借款10万元;案件受理费1150元、保全费1120元由被告承担。许树明未在规定期限内还款。
2013年8月7日,耿子彦提出书面异议,元氏县法院受理后依法进行了审查。2013年9月6日,元氏县法院作出(2013)元执异字第3号执行裁定书,依法驳回异议人耿子彦的异议请求。异议人耿子彦不服,向石家庄市中级人民法院申请异议。2013年11月8日,石家庄市中院作出(2013)石执异字第00185号执行裁定书:一、撤销元氏县人民法院(2013)元执异字第3号执行裁定;二、发回元氏县人民法院重新审查处理。

2014年7月31日,经重新审查,元氏县法院作出(2011)元执字第19号执行裁定书,裁定书称,本院在执行李焕文与许树明、石家庄市盖维尔服饰有限公司借款纠纷一案中,查明,我院于2012年8月30日采取财产保全措施,依法查封了被执行人许树明所有的中捷缝纫机(旧)等机器设备39台,裤子30箱;第三人耿子彦拉走了本院查封的5台机器(按许树明、耿子彦用来抵债的机器设备清点表价格计算)共计12.62万元;被执行人与耿子彦签订的《资产抵债协议书》中,将用来抵债的机器设备清点表中所列的74台件、原值51.4万元的设备折价15万元,抵顶给耿子彦。设备折价15万元,没有进行价格评估。经本院通知第三人耿子彦交出查封机器,但第三人未交出查封的5台机器原物致使查封物品不能评估,应当依法向申请执行人承担相应的赔偿责任。依照《最高人民法院关于人民法院执行工作若干问题的规定(试行)》第44条之规定,裁定如下:一、第三人耿子彦应于本裁定书生效之日起三日内,赔偿申请执行人李焕文10万元及被执行人延迟履行期间的债务利息,总额以12.62万元为限额;二、如本院限定的时间第三人未予赔偿,本院冻结、划拨第三人耿子彦银行的存款。
耿子彦于2017年7月17日提出异议申请,认为元氏县法院作出的(2011)元执字第19号执行裁定书未换合议庭人员,程序违法,请求撤销。
另据被执行人与复议人于2009年8月20日签订的《资产抵债协议书》,约定被执行人将设备清单中的设备折抵给复议人偿还债务,复议人将设备返租给被执行人使用,每年租金2万元。《资产抵债协议书》系双方当事人的真实意思表示,根据《合同法》第44条规定,该协议书合法有效,自签订之日生效。根据《物权法》第27条规定,抵债清单中的设备自合同签订时所有权已发生转移,归复议人所有。该抵债清单中确有与(2011)元执字第19号执行裁定中所列设备华南扣眼机、定型机、钉扣机等名字相同的机器,但因当时元氏县法院保全查封时并未留存照片,无法确定名字相同的设备为同一台机器,而元氏县法院却完全忽略这一客观事实,在毫无证据的情况下认定复议人拉走的机器与法院查封的机器是同一机器。但复议人将机器退回元氏县法院时,法院却以不是查封的原机器为由,让复议人承担赔偿责任。元氏县法院在这一问题认定上前后矛盾,既然认定“不是查封的原机器”,那为何裁定复议人承担赔偿责任呢?(2011)元执字第19号执行裁定对此未作任何阐述说明,在没有任何证据的情况下,元氏县法院凭空地作出裁定,显然没有事实依据。
需要指出的是,法律规定保全的财产价值应相当于诉讼标的额,不可超额保全。元氏县法院查封的石家庄市盖维尔服饰有限公司财产额应相当于标的额(10万元),共计69台件机器设备。但元氏县法院作出的(2011)元执字第19号执行裁定认定复议人拉走的其中5台机器,并认定仅其中5台机器就价值12.62万元,完全违背逻辑,随意的裁定复议人对申请执行人按5台机器价值12.62万元赔偿,缺乏事实依据。同时,元氏县法院执行依据的(2010)元民一初字第00570号民事调解书存在严重的实体和程序错误,石家庄市盖维尔服饰有限公司不应作为本案被执行人。
我们认为,元氏县法院在审理李焕文、许树明、石家庄市盖维尔服饰有限公司借款纠纷一案中存在明显的错误,石家庄市盖维尔服饰有限公司并非本案的借款人。从原告李焕文出具的证据《借条》上分析:1、从内容上看,“许树明借李焕文现金十万元”,很明确显示是许树明的个人借款;2、从落款处看,借款人落款处只有许树明个人的签字和手印。借条中虽然有石家庄市盖维尔服饰有限公司的字样,但没有在借款人一栏,而且并没有加盖公司的公章,不能代表是公司的借款行为。
石家庄市盖维尔服饰有限公司的工商登记中显示,在2010年5月18日,许树明将其所持有的石家庄市盖维尔服饰有限公司60%的股份(30万元人民币)转给张少玉,并免去许树明法人代表职务由张少玉担任,并于2010年5月21日变更公司工商登记。
2010 年10月25日,元氏县人民法院在主持调解程序时只有原告李焕文和被告许树明参加,石家庄市盖维尔服饰有限公司并未参加,而且《调解协议》上并没有石家庄市盖维尔服饰有限公司的合法权益,该公司不应作为本案的被执行人。而复议人依据与石家庄市盖维尔服饰有限公司签订的《资产抵债协议书》抵债机器的所有权权属已转移,法院更不应该查封已属于复议人的机器设备。
综上,元氏县法院作出的(2011)元执字第19号执行裁定书认定事实和适用法律错误,在缺乏事实根据的情况下就作出结论,在没有调查清楚的情况下就判定是非,致使一起简单的借款纠纷案拖延了七、八年之久,给申请执行人精神、经济及物质上带来极大的伤害及损失。
有错必纠是勇气,有错必究是责任。当下,“坚持全面依法治国”已被纳入新时代坚持和发展中国特色社会主义的基本方略,这起简单的借款纠纷案何时能够得到公正、合理的解决,我们拭目以待。(来源:中新在线 作者:袁丽萍)
原文链接:http://www.xiaobaicai.net.cn/plus/view.php?aid=2642










